14:38 Объявление | |
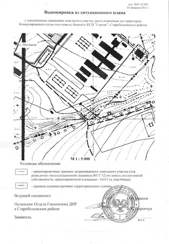
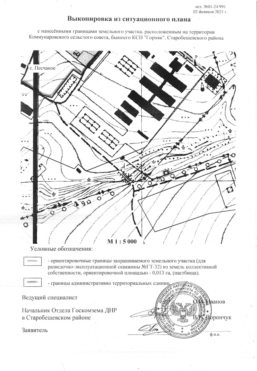
| Администрация Старобешевского района информирует о неиспользуемых земельных участках сельскохозяйственного назначения и о намерении передать их в аренду для использования их по целевому назначению заинтересованным лицам. Просим предоставить информацию от собственников (пользователей), наследников, правопреемников, уполномоченных лицах о намерении использования указанных земельных участков, предоставить согласие на передачу их в аренду по телефону: 2-25-14 отдел архитектуры администрации каб. 113, в соответствии с исполнением полномочий, предусмотренных пунктом 5.5 Временного порядка предоставления в постоянное пользование и передачи в аренду земельных участков на территории Донецкой Народной Республики, утвержденного Постановлением Совета Министров Донецкой Народной Республики от 02.09.2015 №17-15 (с изменениями и дополнениями). Земельный участок расположен на территории Коммунаровской сельской администрации, земли коллективной собственности бывшего КСП «Горняк» (согласно приложения): земельный участок ориентировочной площадью -0,0130 га (пастбища), земли коллективной собственности сельскохозяйственного назначения. По истечению двухмесячного срока, в случае отсутствия официальной информации от собственников (пользователей), а также их наследников, правопреемников и уполномоченных лиц, будет принято решение уполномоченным органом исполнительной власти о передаче заинтересованному лицу (арендатору) земельного участка в аренду для использования по целевому назначению. Договор аренды таких земельных участков заключается на срок до момента обращения собственников (пользователей), а также их наследников, правопреемников и уполномоченных лиц земельных участков в работе по уборке урожая, но не менее одного года. В случае отсутствия информации от собственников (пользователей), а также их наследников, правопреемников и уполномоченных лиц о намерении возобновить свои права в части использования земельных участков за один месяц до окончания действия договоров аренды, договор возобновляется (продлевается) на такой же срок, путем заключения дополнительного соглашения с заинтересованным лицом (арендатором )
| |
|
| |
